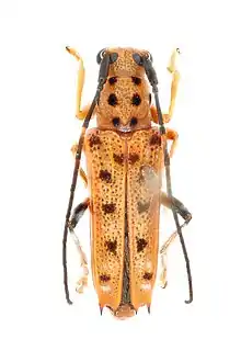
Glenea vigintiduomaculata
Scientific classification
Kingdom:
Phylum:
Class:
Order:
Suborder:
Family:
Genus:
Species:
G. vigintiduomaculata
Binomial name
Glenea vigintiduomaculata
(Thomson, 1858)

Glenea vigintiduomaculata is a species of beetle in the family Cerambycidae. It was described by James Thomson in 1858.[1]

References

  1. BioLib.cz - Glenea vigintiduomaculata. Retrieved on 8 September 2014.


This article is issued from Wikipedia. The text is licensed under Creative Commons - Attribution - Sharealike. Additional terms may apply for the media files.