Château de Jully
Château de Jully is located in France
Château de Jully
Location of Château de Jully in France
Coordinates47°47′9.24″N 4°16′41.52″E / 47.7859000°N 4.2782000°E / 47.7859000; 4.2782000
Original useCastle
Current useruins
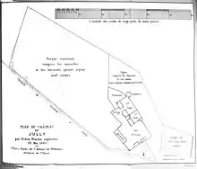
1812 plan

The Château de Jully (also known as the Abbaye de Jully-les-Nonnains) is a ruined building, originally a castle but later having other uses, in the commune of Jully in the Yonne département of France. Built originally in the 10th century, it was subsequently used as a convent, a priory and a farm.[1]

History

The castle was built around 987 by the Count of Tonnerre, Milon I. The counts owned the land until 1144, when Saint Bernard of Clairvaux demanded the castle to establish a convent linked to the Abbey of Molesmes. With the founding of the convent, the castle was named Loge-aux-Convers. It consisted of numerous buildings including a chapel, with a terrace, orchards and meadows. It had fallen into ruins by 1708 and, during the French Revolution, it became a farm. Above the door of the cattle shed is a coat of arms, below which is carved the date 1544. In the early 20th century, builders repairing the roof discovered bundles of parchments, including charters from the 12th and 16th centuries.[1]

See also

References

  1. 1 2 Base Mérimée: Château de Jully, Ministère français de la Culture. (in French)


This article is issued from Wikipedia. The text is licensed under Creative Commons - Attribution - Sharealike. Additional terms may apply for the media files.